| 価格 |
値下げ:2024/02/24 400万円 | 交通 | 高山本線 「高山」駅 徒歩16分 |
|---|---|---|---|
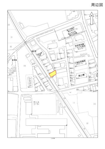
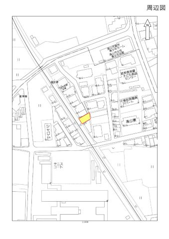
| 土地面積/坪数 | 127.90㎡ / 38.68坪 | 所在地 | 岐阜県高山市千島町 |
| 建ぺい率 | 60% | 容積率 | 200% |
売地
| 価格 |
値下げ:2024/02/24 400万円 | 交通 | 高山本線 「高山」駅 徒歩16分 |
|---|---|---|---|
| 土地面積/坪数 | 127.90㎡ / 38.68坪 | 所在地 | 岐阜県高山市千島町 |
| 建ぺい率 | 60% | 容積率 | 200% |
「利回り」は、当該不動産の1年間の予定賃料収入の不動産取得対価に対する割合であり、公租公課その他当該物件を維持するために必要な費用の控除前のものです。
また、予定賃料収入が確実に得られる事を保証するものではありません。

高山市エリアでの住まいなら、住み心地も快適な「千島町」はいかがでしょうか。土地購入の際、売地のことなら当社にご相談ください。建築条件なしなので、建築についてじっくり考えられるというメリットがあります。クローバー不動産が紹介する土地を見学しませんか。高山市エリアには広い土地が豊富です。0577-77-9608までお問い合わせをお待ちしております(*´ω`*)
※地図上の物件位置は近隣に物件が所在することを表すものであり、実際の物件所在地とは異なる場合がございます。
0577-77-9608
営業時間:9:00~19:00 / 定休日:年中無休
| 所在地 | 岐阜県高山市千島町 | ||
|---|---|---|---|
| 交通 | 高山本線 「高山」駅 徒歩16分 | ||
| 価格 | 400万円 | 坪単価 | 10.34万円 |
| 土地面積 | 127.90㎡ | 建築条件 | 無 |
| 土地権利 | 所有権 | 建ぺい率/容積率 | 60%/ 200% |
| 私道負担面積 | セットバック | ||
| 接道状況 | 一方 | ||
| 地目 | 宅地 | 地勢 | |
| 土地の権利形態 | 開発面積 | ||
| 都市計画 | 非線引区域 | 用途地域 | 第二種住居地域 |
| その他法令上の制限 | 景観法 | ||
| 国土法届出 | 不要 | 取引態様 | 一般媒介 |
| 現況 | 更地 | 引渡し | 相談 |
| 設備条件 | 公共下水 / 公営水道 / プロパンガス | ||
| その他条件 | |||
| 備考 | |||
| 周辺の学校 | 高山市立花里小学校(約325m / 徒歩5分) | ||
| 物件番号 | 70824877 | ||
| 情報公開日 | 2026年4月13日 | 次回更新予定日 | 2026年4月27日 |
| 取引条件の有効期限 | 2026年4月27日 | ||
| 取扱い会社 |
クローバー不動産 〒506-0051 岐阜県高山市中山町603 岐阜県知事(3)第4805号 (公社)岐阜県宅地建物取引業協会 東海不動産公正取引協議会 (公社)日本不動産鑑定士協会連合会 |
||
0577-77-9608
営業時間:9:00~19:00 / 定休日:年中無休
| 所在地 | 物件の住所を表示。(詳細住所は表示していない場合もある) | ||
|---|---|---|---|
| 交通 | 物件(部屋)の沿線駅・バス停を表示。(複数駅・バス停の利用が可能な場合は最大3件まで) | ||
| 間取り/詳細 | 数字は居室数を表示。LDKはそれぞれ「リビング」「ダイニング」「キッチン」、S(納戸)とは「納戸」「サービスルーム」「マルチルーム」「フリールーム」など建築基準法第28条に適合していないため、居室と認められない納戸その他の部分を表す。 | ||
| 価格 | 販売されている住戸の価格を表示。仲介手数料は含まない。 | ||
| 管理費 | 共同住宅の設備その他共用部分の維持および管理をするために必要な費用を表示。 | ||
| 修繕積立金 | 共用部分の修繕のために積立てる金額を表示。 | ||

売地
| 価格 | 150 万円 | ||
|---|---|---|---|
| 土地面積 | 146.74㎡ | 建築条件 | |
| 土地坪数 | 44.38坪 | 坪単価 | 3.38万円 |
| 建ぺい率 | 60% | 容積率 | 200% |
| 住所 | 岐阜県高山市三福寺町 | ||
| 交通 |
高山本線「高山」駅 徒歩33分
|
||
売地
| 価格 | 490 万円 | ||
|---|---|---|---|
| 土地面積 | 254.58㎡ | 建築条件 | |
| 土地坪数 | 77.01坪 | 坪単価 | 6.36万円 |
| 建ぺい率 | 60% | 容積率 | 200% |
| 住所 | 岐阜県高山市一之宮町 | ||
| 交通 |
高山本線「飛騨一ノ宮」駅 徒歩36分
|
||
【外観】